For used truck sales and leasing, leave it to Truckland, which handles a variety of large trucks.

お電話TEL お問い合わせCONTACT
Product IDT11479

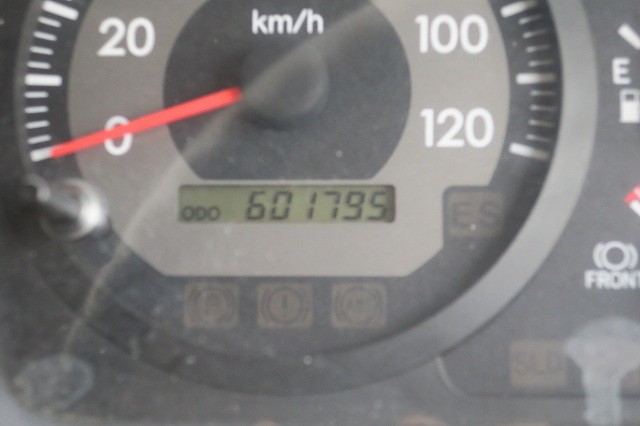
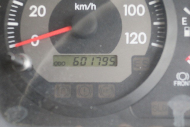
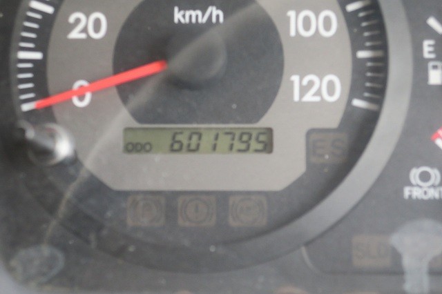
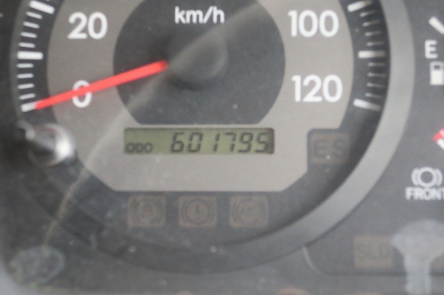
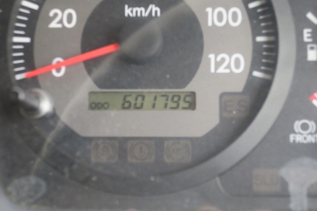
2008 Hino Profia 4-axle low-floor 10m top wing rear air suspension *Actual mileage on meter: approx. 602,000 km*

Product Details

  • Brand HINO
  • Product Name PROFIA
  • Segment Large
  • Body Wing(Alu/Canvas)
  • Model Year 2008
  • Description BDG-FW1EXG
  • Vehicle ID FW1EZX-10***
  • Payload 8,600kg
  • Gross Vehicle Weight 19,990kg
  • Mileage 602,000km
  • Engine E13C
  • Transmission 7-speed MT
  • Suspension Air suspension
  • Horse Power 360ps
  • Total Displacement Rated Capacity 12.91L
  • Fuel Light oil
  • # of Passengers 2
  • JPN Government Certification Expired
  • Recycling Ticket JPY 13,390
  • Body Manifucture Hamana Works
  • Deck Height Low floor
  • Cargo Size(Inner) L998cm x W241cm x H270cm

Special Remarks

This is a 2008 Hino Profia large top wing. 4-axle low floor, rear air suspension, 360 horsepower, ETC specification vehicle. ★Actual mileage on the meter is about 602,000 km★ <Upper goods> Manufacturer: Hamana Works Gate frame cm: W221 x H255 Floor surface: Wooden hook: 13 pairs Loan and lease are accepted. We are inspecting the actual vehicle. Please feel free to contact us.

Related Equipment

  • カーエアコンAC
  • パワーステアリングPower Steering
  • パワーウィンドウPower Window
  • フロントのみパワーウィンドウFr. Pow Window
  • ABSABS
  • SRSエアバッグSRS Air-Bag
  • バックアイカメラBack Camera
  • 坂道発進補助装置Hill-Start Assist
  • 電動格納ミラーMirror Hold
  • アルミホイールAlu. Wheel
  • 速度抑制装置Speed Limitter
  • ETCETC JPN Only
  • ターボTurbo
  • エアサスAir-Suspension
  • ワイドキャブWide Cab
  • ベッド付Sleeper Bed
  • 集中ドアロックCenter Lock
  • パワーゲートPower Gate
  • 低床Lower Deck
  • リターダRetarder
  • カーナビ付Car Navigation
  • ハイルーフHigh Roof
  • AdBlueAdBlue
  1. Recycling deposit, licensing & delivery fee, vanning & exportation Fee may be required beside of product price
    When we register and apply certification, it may be required to reduce payload according to updated Japanese government regulations
    It may not show you minor scratches & dents from our product photos. Please contact our representatives if required in detail.
STEP2

Detailed Options

  • Product ID
  • Brand
  • Segment
  • Model Year  ~ 
  • Description
  • Free Word

    e.g.): BKG-FR1EXYG

  • Stock Location
  • Payload  ~ 
  • Price  ~ 
  • Drive-Line
  • Deck Height
  • Mileage  ~   km
  • Cargo Size Lcm Wcm Hcm